670 10 Avenue S, Carstairs. T0M 0N0
Description
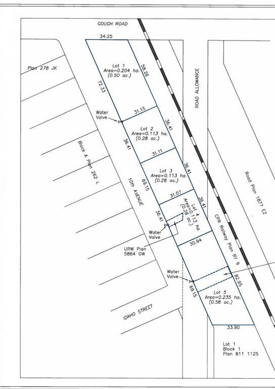
Excellent location on a .28-acre commercial lot (102’ x 119’) with great visibility in a high-traffic area. The property features a 2,256 sq. ft. (24’ x 94’) building equipped with three 14’ x 14’ overhead doors plus an additional 8’ x 8’ overhead door—perfect for a variety of uses. All services are at the property line. This site offers strong potential for retail, office, or mixed-use space in the fast-growing community of Carstairs, Alberta. Ideally situated between Calgary and Edmonton, Carstairs acts as a hub for surrounding communities, making this a fantastic opportunity for investors or business owners looking to expand.
Listing Information
For fast response, please email us via the “Inquiry Via Email” button with your contact information.
Listing MLS#:A2250889
670 10 Avenue S,
Carstairs. T0M 0N0
Liang Commercial Real Estate
To purchase a business or property, please visit "Our People", to find a commercial expert who specializes in the type of business or property you are looking for, speaks your language, and has an office in your city.
This listing is presented by CENTURY 21 BRAVO REALTY, courtesy of "REMAX ACA Realty" listing brokerage.
Google map



