0 Broadway Avenue , Blackfalds. T0M 0J2
Description
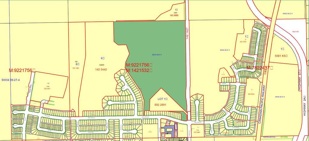
New Developments and Improvements on this project are underway! Aurora Heights SE-34 consists of 53.75 +/- acres of residential development lands sitting on the west side of Broadway Avenue (Range Road 272). The lands are located between Highway 2 and Highway 2A, the access to the highways and the town makes these lands perfectly situated for ease of access to all amenities. This quarter improvements include the initial approvals, some minor rough grading, some construction of the storm water facility plus approval of the storm water facility including paying all fees for removing wetlands to Alberta Environment. Please consider adding this to your building plan.
Listing Information
For fast response, please email us via the “Inquiry Via Email” button with your contact information.
Listing MLS#:A2270186
0 Broadway Avenue ,
Blackfalds. T0M 0J2
Liang Commercial Real Estate
To purchase a business or property, please visit "Our People", to find a commercial expert who specializes in the type of business or property you are looking for, speaks your language, and has an office in your city.
This listing is presented by CENTURY 21 BRAVO REALTY, courtesy of "Century 21 Foothills Real Estate" listing brokerage.
Google map



