4, 2377 Box Springs Boulevard NW, Medicine Hat. T1C 0C8
Description
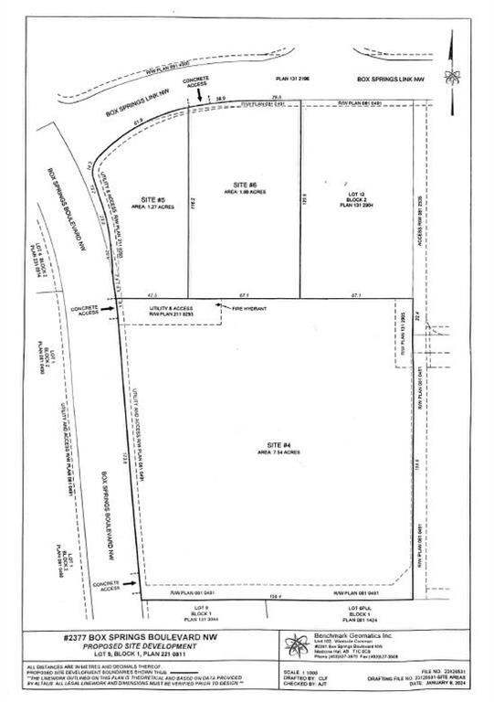
Prime commercial development opportunity in Medicine Hat’s Box Springs Business Park. This offering includes 7.54 acres, featuring flat topography, excellent sight lines, and easy access along Box Springs Blvd with direct exposure to the Trans-Canada Highway. Off-site levies are paid, with some services already in place. Located directly across from Costco and surrounded by national retailers, restaurants, hotels, and automotive/service users, the site benefits from strong daily traffic and exceptional commercial draw. Vendor financing is available (terms negotiable). An ideal location for commercial, retail, hospitality, or service-oriented development.
Listing Information
For fast response, please email us via the “Inquiry Via Email” button with your contact information.
Listing MLS#:A2272954
4, 2377 Box Springs Boulevard NW,
Medicine Hat. T1C 0C8
Liang Commercial Real Estate
To purchase a business or property, please visit "Our People", to find a commercial expert who specializes in the type of business or property you are looking for, speaks your language, and has an office in your city.
This listing is presented by CENTURY 21 BRAVO REALTY, courtesy of "AVISON YOUNG" listing brokerage.
Google map



