$750,000.00 161.00 acre

71381, RGE RD 20 , DeBolt. T0H 1B0

Description

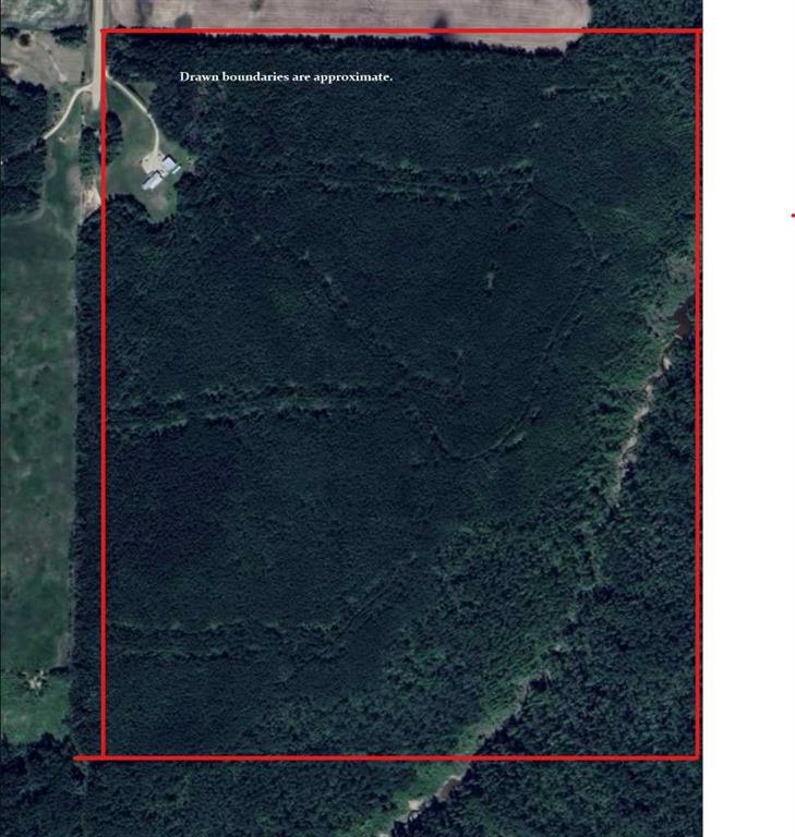
*PLEASE NOTE THAT THIS PROPERTY HAS AN ACCEPTED OFFER CURRENTLY & IS NOT AVAILABLE FOR VIEWING.*. The Ultimate Northern Alberta Adventure Retreat! If you’ve been dreaming of full-throttle freedom, wild northern landscapes, and room to roam—this 161-acre quarter section is calling your name. Tucked at the very end of Range Road 20, just south of Highway 43, it’s surrounded by untouched Crown land that feels endless. Step off your deck and head straight onto hundreds of acres of quad trails, wildlife corridors, and backcountry exploring—no hauling, no trailering, no limits. This is a place where you can hunt in the morning, ride for hours in the afternoon, and watch the sun disappear behind the trees from your own private clearing. The home offers over 1,990 sq ft of living space, complete with air conditioning for warm summer days and a sprawling 24' x 14' deck for soaking in those long northern sunsets and crackling campfire nights. The property includes an unfinished 36' x 34' shop, with a 10' door, perfect for building out your dream workspace or storing every toy you’ve ever wanted. Priced well at $750,000, this rare, adrenaline-ready quarter section is more than property—it’s a lifestyle. A private basecamp for hunters, riders, explorers, and anyone who craves the untamed side of Alberta. Your adventure starts the moment you arrive.

Listing Information

Prop. Type:Agri-Business
Status:Pending
MLS #:A2270769
City:DeBolt
Neighbourhood:NONE
Province:Alberta
Building/Unit Size: 0 sq.ft
Land Size:161.00 Acre
Listing Price:$750,000.00
Lease Rate: $0.00
Business Type:
Property Subtype:Agriculture
Transaction Type:For Sale
Land Use Code:A-1
Listing Contract Date:2026-01-22

For fast response, please email us via the “Inquiry Via Email” button with your contact information.

To purchase a business or property, please visit "Our People", to find a commercial expert who specializes in the type of business or property you are looking for, speaks your language, and has an office in your city.

This listing is presented by CENTURY 21 BRAVO REALTY, courtesy of "RE/MAX Grande Prairie" listing brokerage.

Google map